BIOLOGÍA. TEJIDO EPITELIAL. CLASIFICACION
Los epitelios se clasifican atendiendo a distintas características:
1- Según la función del epitelio:
Epitelio de resvestimiento o pavimentoso: Es el que recubre externamente la piel o internamente los conductos y cavidades huecas del organismo, en el que las células epiteliales se disponen formando láminas.
Epitelio glandular: Es el que forma las glándulas y tiene gran capacidad de producir sustancias.
2- Según la forma de las células epiteliales:
Epitelios planos o escamosos: Formado por células planas, con mucho menos altura que anchura y un núcleo aplanado.
Epitelios cúbicos: Formado por células cúbicas, con igual proporción en altura y anchura y un núcleo redondo.
Epitelios prismáticos o cilíndricos: Formado por células columnares, con altura mucho mayor que la anchura y un núcleo ovoide.
3- Según el número de capas de células que lo formen:
Epitelio simple.
Epitelio estratificado.

Epitelio simple o monoestratificado
El epitelio está formado por una sola capa de células y todos los núcleos celulares están a la misma altura. Los epitelios simples pueden ser:
1-Epitelio simple plano: forma la cubierta del ovario y compone ciertos túbulos. Se adapta a funciones de revestimiento y desplazamiento de las superficies entre sí por ejemplo el revestimiento interno de los vasos sanguíneos y linfáticos (endotelio vascular), los alveolos pulmonares, el asa de Henle, la cápsula de Bowman y también el mesotelio de las serosas. Este epitelio esta compuesto por una capa única de células planas firmemente unidas. Las células presentan un núcleo prominente y aplanado.
2-Epitelio cúbico simple: Las funciones del epitelio simple cúbico más importantes son la absorción y secreción. La capa de células única de forma cúbica con un núcleo redondo reviste los ductos de muchas glándulas exócrinas (tiroides, por ejemplo), así como también los ductos del riñón.
3-Epitelio cilíndrico simple: Sus funciones son la absorción y secreción por ejemplo el revestimiento del tracto digestivo desde el cardias, en el estómago, hasta el ano, vesícula biliar y conductos mayores de las glándulas. Las células cilíndricas presentan un núcleo ovoide a un mismo nivel. Pueden presentar un borde estriado o microvellosidades. El epitelio columnar simple que reviste el útero, oviductos, conductos deferentes, pequeños bronquiolos y senos paranasales son ciliados.
Epitelio estratificado
El epitelio estratificado es el epitelio formado por varias capas de células. Se denominan según la forma de las células superficiales, puede ser estratificado plano o escamoso, estratificado cúbico y estratificado cilíndrico sin aludir a las formas celulares de los otros estratos. El epitelio estratificado puede ser:
Epitelio estratificado plano: Existen dos tipos según la presencia o ausencia de queratina:
1-Epitelio plano estratificado queratinizado: Es el que forma la epidermis de la piel, en el que las células más superficiales están muertas y cuyo núcleo y citoplasma ha sido reemplazado por queratina, que forma una capa fuerte y resistente a la fricción, impermeable al agua y casi impenetrable por bacterias, adaptándose a funciones de protección.
2-Epitelio plano estratificado no queratinizado: Presenta varias capas de células planas y solo la más profunda esta en contacto con la lámina basal. Las más profundas son cuboides, las del medio poliédricas y las de la superficie son planas. Este tipo de epitelio lo encontramos en las mejillas, la lengua, la faringe, el esófago, las cuerdas vocales verdaderas y la vagina.
Epitelio estratificado cilíndrico: Tiene funciones de protección y es poco frecuente. Se localiza en pequeñas zonas de la faringe, en algunas partes de la uretra masculina, en algunos de los conductos excretorios mayores y en la conjuntiva ocular. Normalmente la capa basal se compone de células bajas de forma poliédricas regular, y sólo las células superficiales son cilíndricas.
Epitelio cúbico estratificado: Sólo se encuentra en los conductos de glándulas sudoríparas y consta de dos capas de células cúbicas siendo las más superficiales de menor tamaño.
Epitelio pseudoestratificado
Son aquellos epitelios en que todas las células hacen contacto con la lámina basal, pero no todas alcanzan la superficie, por lo que en realidad son epitelios simples, con varios tipos de células dispuestas en una sola capa, pero con sus núcleos a diferentes niveles, dando el falso aspecto de tener varias capas. Las células que no llegan a la superficie tienen una base ancha con un extremo apical estrecho, en cuanto a las que llegan tienen una base estrecha y el extremo apical ancho. Encontramos este tejido en la uretra masculina, epidídimo y grandes conductos excretores. El más distribuido de epitelio pseudoestratificado es el tipo ciliado encontrado en la mucosa de la tráquea y bronquios primarios, el conducto auditivo, parte de la cavidad timpánica, cavidad nasal y el saco lagrimal.
Estructuras accesorias de las células epiteliales
En la superficie libre o apical de determinadas células epiteliales se encuentran: microvellosidades, estereocilios, cilios, axonema y flagelos. Así existe distintos tipos de epitelios como:
1-Epitelio ciliado: Si las células epiteliales poseen cilios, que aparecen en los epitelios cuya función es la de transportar líquido o moco a través de órganos tubulares que recubren.
2-Epitelio flagelado: Si el epitelio tiene flagelos, cuya función es: a) agitación del líquido contenido en la luz de órganos tubulares y b) función sensorial en los epitelios sensoriales. En ambos casos la unidad básica que forma a ambos son los microtúbulos.
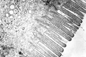
3-Epitelio con microvellosidades: En el caso de las células que poseen microvellosidades la función de las mismas es fundamentalmente absortiva, es decir permiten el paso de sustancias a través de ellas. La unidad básica que forma a las microvellosidades son los filamentos de actina. Ejemplo de ellos son: El denominado "ribete en cepillo" en el riñón y la denominada "chapa estriada" en el intestino delgado. Los estereocillios: están formados por la misma unidad básica, tienen la misma función, son mucho más largos que las microvellosidades y están ubicadas en el epidídimo, en el conducto deferente y en el oído interno.
epitelio con microvellosidades epitelio ciliado de la traquea
Tipos especiales de epitelios
Epitelio de transición o transicional: Llamado así porque se pensaba que era una transición entre epitelio plano estratificado y cilíndrico estratificado. Es conocido por su exclusividad de revestir las vías urinarias, desde los cálices renales hasta la uretra. Esta compuesto de varias capas de células: a) las localizadas basalmente (células basales), por encima de éstas se encuentran b) células poliédricas y c) las más superficiales son cúbicas con un extremo apical convexo, frecuentemente binucleadas. Las células varían su forma de acuerdo al grado de distensión. En estado de contracción, las células están en forma cilíndrica. En estado dilatado, las células modifican su forma y se observan 1 o 2 capas de células cúbicas o planas.
Epitelio germinal: Es el que forma la línea germinal.
Epitelio sensorial: En los órganos de los sentidos aparecen diferentes epitelios formados por neuronas especializadas como en:
1. Epitelio olfatorio: Captan las moléculas disueltas en el aire en el sentido del olfato.
2. Epitelio visual: En la retina, el epitelio pigmentario, la primera de las diez capaz la componen.
3. Epitelio auditivo: Son células pilosas sensoriales situadas en el órgano de Corti, del oído interno de los mamíferos, fundamentales en el sentido de la audición.
Epitelio Glandular: lo constituyen aquellas células o asociaciones de células especializadas para la secreción de sustancia que se encuentran formando las glándulas que pueden ser uni o pluricelulares.
Por el lugar donde vierten la secreción se las denomina endócrinas o exócrinas. Las endócrinas vierten su producto en el torrente circulatorio. Las exócrinas vierten la secreción en cavidades o en la superficie corporal directamente o por medio de conductos excretores especiales.
Por su modo de secreción se distinguen tres clases de glándulas: merócrinas, apócrinas y holócrinas.
Las merócrinas liberan el producto de secreción a través de la membrana plasmática, conservándose la integridad de las células. Las glándulas apócrinas son aquellas en las cuales se elimina el citoplasma apical junto al producto secretorio, siendo la célula capaz de restaurar la continuidad de la membrana plasmática sobre el citoplasma y volver a producir gránulos secretorios. Por ejemplo la glándula mamaria. En la secreción holócrina, la célula en su totalidad se vierte en la secreción con la consiguiente destrucción de la célula. Por ejemplo las glándulas sebáceas.
Por el número de células que las constituyen se las clasifica en: unicelulares o pluricelulares.
Las glándulas sudoríparas están situadas en la dermis y constan de largos y delgados tubos, cerrados por el extremo inferior, donde se apelotonan, formando un ovillo. Por los poros que se abren al exterior segregan el sudor líquido, de sabor salado y de constitución parecida a la de la orina.



